近日
沙市区人民政府网站
发布一则土地征收预公告
拟征收立新街道同心村集体土地

土地征收预公告沙征预公告〔2024〕20号
根据《中华人民共和国土地管理法》《省自然资源厅关于印发湖北省土地征收工作程序暂行规定的通知》等法律法规和文件规定,沙市区人民政府拟征收沙市区立新街道同心村集体土地。现将启动征收土地有关事项公告如下:
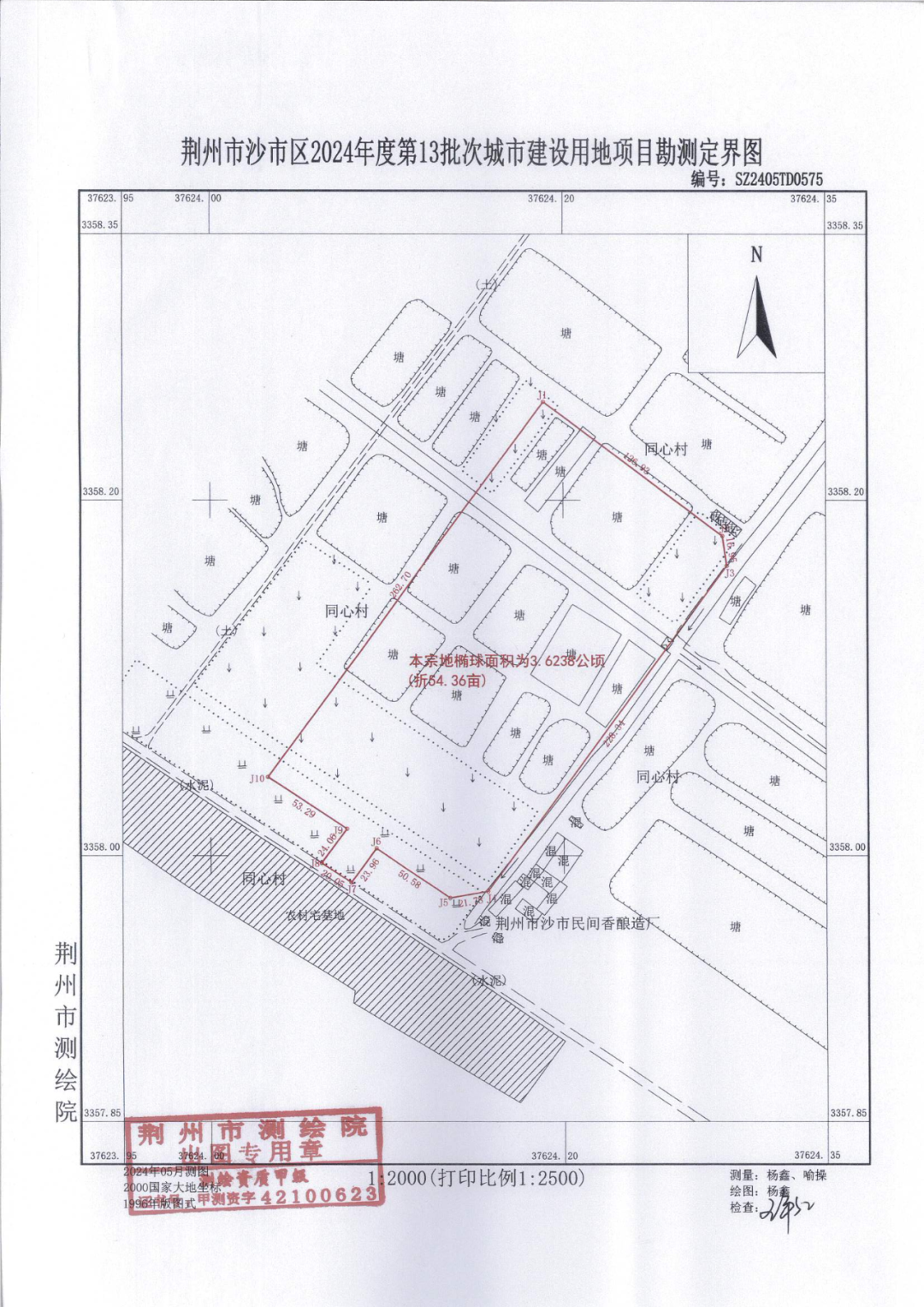
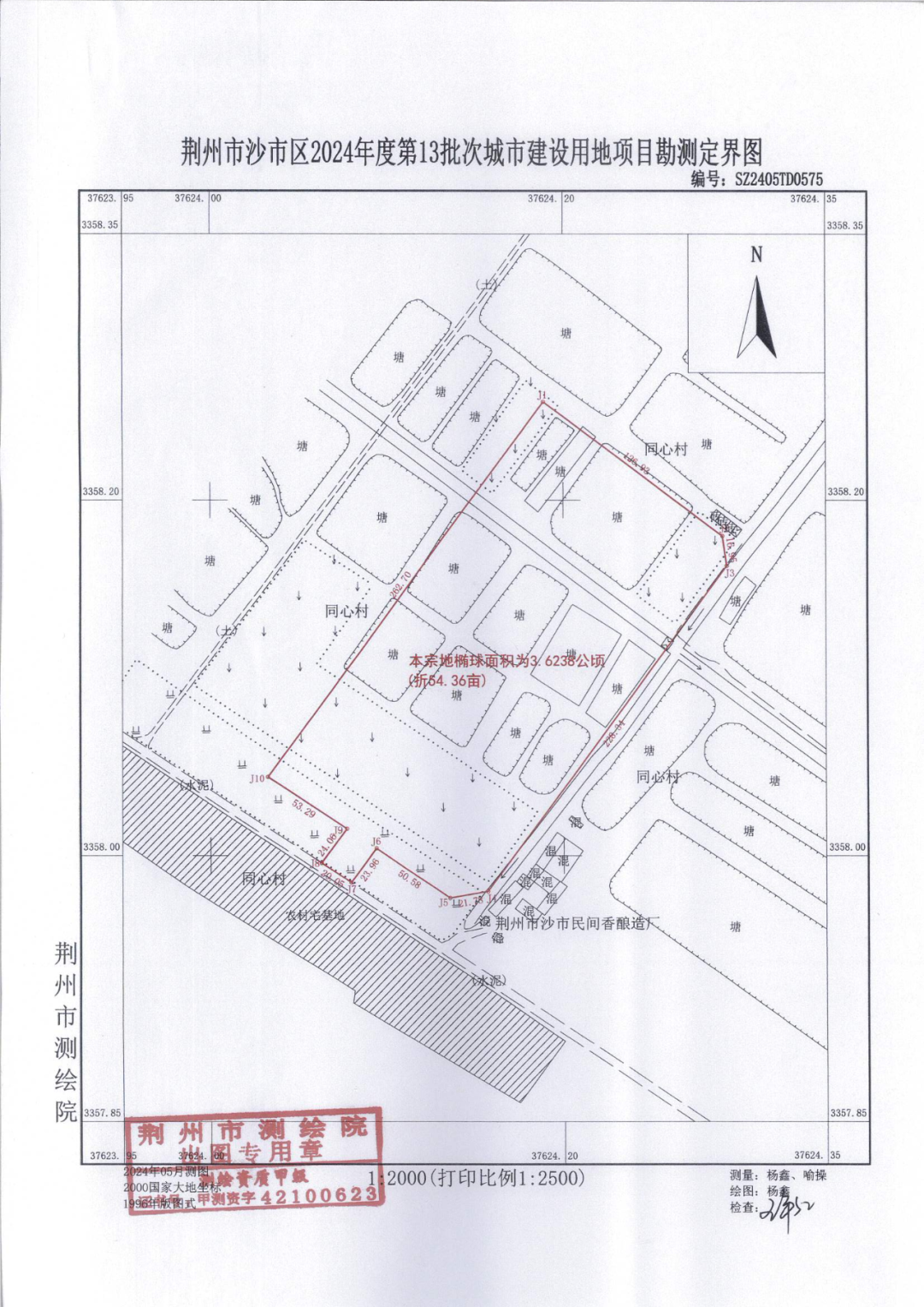
一、拟征收土地的范围
拟征收沙市区立新街道同心村集体土地3.6238公顷,共1个地块,范围四至详见勘测定界图。
二、征收土地目的
本次征收集体土地,用于荆州市沙市区2024年度第13批次城市建设用地,土地用途为工业用地。
三、土地征收现状调查安排
根据沙市区人民政府土地征收工作安排,2024年7月22日起,荆州市自然资源和规划局沙市区分局和沙市区立新街道办事处将对拟征收范围内土地的权属、地类、面积,承包经营与具体使用情况,以及农村村民住宅、青苗和其他地上附着物等的权属、数量等信息进行详细调查。涉及的有关单位和个人应予积极支持配合。
四、被征地农民养老保险调查安排
根据《省人民政府关于被征地农民参加基本养老保险的指导意见》(鄂政发〔2014〕53号)和《关于印发<湖北省被征地农民养老保险补偿实施细则>的通知》(鄂人社发〔2015〕2号)和沙市区人民政府土地征收工作安排,2024年7月22日起,沙市区立新街道办事处将组织开展被征地农民养老保险调查。涉及的有关单位和个人应予积极支持配合。
五、其他事项
本公告发布之日起,暂停办理拟征收土地范围内的户口迁入、分户、房屋交易、翻(扩)建、核发营业执照、调整农业产业结构等工作;任何单位和个人不得在拟征收土地范围内抢种抢栽抢建,违反规定抢种抢栽抢建的,不予补偿安置。
本公告期限为10个工作日,公告范围为立新街道同心村,公告方式为现场公告、网上公告,并已在沙市区人民政府门户网站公示。
特此公告。
荆州市沙市区人民政府
2024年7月22日

请输入验证码